城市天际线交通怎么规划 城市天际线怎么规划路线才不会道路拥挤

城市天际线交通怎么规划?游戏中城市规划的时候交通怎么管理相信小伙伴们都好奇的吧,下面小编就带来城市天际线交通管理攻略,一起来看看吧。

城市天际线交通管理攻略
图中平均车流量达到80%:

想要做到80的平均车流并不难,但难在又想让城市达到自己预期的规划程度又想做到车流量如德芙般丝滑,经过游戏内时长128年之久,本人对解决车流问题产生了自己独到的见解,其中TMPE大多数人都了解并使用,使用方法不做解释。
标题为城市规划及交通治理,两者实际上相辅相成,城市商业区工业区住宅区位置,对外链接路口方向,立交桥功能以及交通方式都很明显的以交通问题体现出来,其中最严重的不良后果为堵车,要致富先修路,这话不假,但若路网功能不良,资源输送不进,致富从何谈起。
一、十字路口
十字路口使用工具TMPE进行调整,路口连接如图。

十字路口连接
目的在于解决游戏特性,如果不经调整车流会占用左转直行共用车道,十分浪费公路功能,调整后左转直行右转分别有各自专用车道,公路功能会大大提升。
本人经常使用移位左转十字路口解决高流量十字路口左转堵车问题,如图

移位左转
二、路口间距
路口间距远为好,马路长度长为宜,都起到缓冲作用。
三、公路类型使用
常用公路类型有绿化带公路,附带自行车道公路和附带公交专用车道公路,本人极少使用公交车道公路,公交系统规划复杂本人不擅长,期待高手指点迷津,绿化带公路美观但无特殊功能,自行车道尽量安置在商业区与商业区连接干道之间,公园之间也可有连接,目的在于减少车辆使用,美其名曰环保,鼓励单车骑行减少车辆效果较为显著。
四、立交桥安置
立交功能强大,但多数用于高速公路之间,立交桥位于市中心占地面积较为庞大,且不好处理连接问题,将立交桥置于离商业区较近的干道附近与其干道做连接比较容易且效果优于前者。
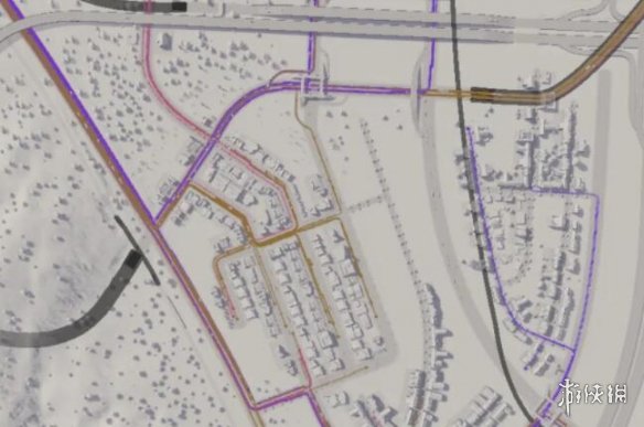
五、商业区住宅区与工业区规划
这一点对交通问题影响最大,本人尝试过多种模式,但其中最容易实施且便于理解的是等距离分散模式,简单来说就是商业区与各个商业区之间的距离大致相等,工业区也同样如此,这样居民就不容易聚集在一个商业区内造成商业区干道高流量车流灌注,如图。

商业区与工业区位置
图中商业区与商业区之间距离大致相等,工业区与工业区之间距离大致相等,其余部分均为住宅区,大家可以自行模拟一下各个部分居民走向,工业区车辆干道居民及外来车辆车流方向如图。

干道居民车流

工业区车流
去往商业区的车辆分布均匀,工业区车辆不占用商业区干道,该结果显示此方案有效。
六、对外链接路口方向
外来车辆有以下几种,运输商品及货物车辆、运输自然资源车辆及游客,以上几种车辆到达方向基本上为商业区与工业区范围之内,几乎不干涉居民区,所以不应该将入城路口放置在远离商业区干道处,出城入口除以上几种车辆外还包含本市居民,所以出城出口应根据规划程度合理放置在与连接居民区与商业区的干道附近,且保证当前干道有能力承载高流量交通。

